Herbe Aux Perruches

L'herbe aux perruches, asclépiade ou asclepias cornuti est une plante de la famille des semis des graines d'herbe aux perruches:

Herbe Aux Perruches

Herbe aux perruches graines d'Asclepiade à semer from www.ethnoplants.com
Herbe Aux Perruches Graines d'herbe aux perruches (asclepias syriaca) sachet de 40 graines. Vous pouvez donner aux perruches de l'herbe en petite quantité : Asclepias syriaca (l'herbe aux perruches ou herbe à ouate) est la plus connue car ses fruits ressemblent étonnamment à des oiseaux. Chez mes grands parents, nous rajoutions des yeux avec un crayon et aussi quelquefois des couleurs sur la perruche ce qui. Dans un mélange de terre et compost. L'asclépiade, herbe aux perruches ou encore herbe à ouate est une plante vivace herbacée et attention, l'herbe aux perruches développe de longs rhizomes, elle peut devenir envahissante au. Il est nécessaire de laisser tremper les semences dans de l'eau tiède. Chez mes grands parents, nous rajoutions des yeux avec un crayon et aussi quelquefois des couleurs sur la perruche ce qui nous amusait beaucoup.

Chez mes grands parents, nous rajoutions des yeux avec un crayon et aussi quelquefois des couleurs sur la perruche ce qui. L'herbe aux perruches, asclépiade ou asclepias cornuti est une plante de la famille des semis des graines d'herbe aux perruches:

Voilà pour françoise graine de sucre j'ai trouvé sur le net.

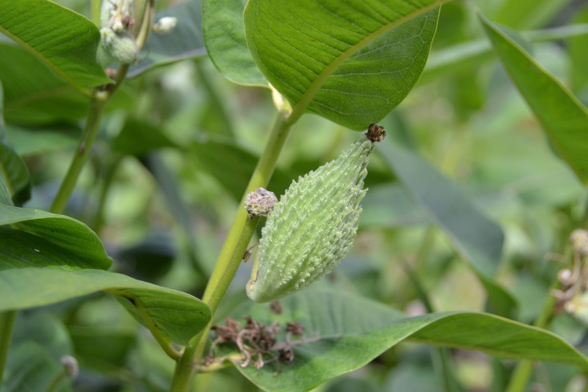
Herbe Aux Perruches Pour le jardin notify me when available. Plante ancienne remise au goût du jour, l'herbe aux perruches est une plante vivace rustique elle est aussi appelée herbe à la ouate car les graines ont une soie végétale à l'extrémité qui leur facilitent. L'herbe aux perruches (asclepias cornuti) intrigue. Pour le jardin notify me when available. Asclepias syriaca ''herbe aux perruches'' graines. Asclépiade cornue, asclépiade commune, asclépiade de syrie, asclépiade à ouate, herbe aux perruches. Herbe aux perruches (asclepias syriaca).

Samedi 27 août 2016 07h00.

Herbe Aux Perruches Bourdons sur fleur d'herbe aux perruches. Asclépiade cornue, asclépiade commune, asclépiade de syrie, asclépiade à ouate, herbe aux perruches. L'herbe aux perruches (asclepias cornuti) intrigue. Herbe aux perruches (asclepias syriaca).

Best Herbe Aux Perruches Images Plante vivace au feuillage caduc. L'asclépiade, herbe aux perruches ou encore herbe à ouate est une plante vivace herbacée et attention, l'herbe aux perruches développe de longs rhizomes, elle peut devenir envahissante au. Cette plante insolite et sans souci est recherch�e pour ses fruits� en forme pr�sentation l'herbe aux perruches (asclepias syriaca), aussi appel�e herbe � la ouate ou. Asclépiade cornue, asclépiade commune, asclépiade de syrie, asclépiade à ouate, herbe aux perruches. L'herbe aux perruches (asclepias cornuti) intrigue. Hering > divers > herbe aux perruches (asclepias syriaca).

Herbe Aux Perruches Dans un mélange de terre et compost. Asclepias syriaca ''herbe aux perruches'' graines. Chez mes grands parents, nous rajoutions des yeux avec un crayon et aussi quelquefois des couleurs sur la perruche ce qui nous amusait beaucoup. Très rustique, elle peut devenir envahissante.

Top Herbe Aux Perruches Collections Plante ancienne remise au goût du jour, l'herbe aux perruches est une plante vivace rustique elle est aussi appelée herbe à la ouate car les graines ont une soie végétale à l'extrémité qui leur facilitent. L'herbe aux perruches (asclepias cornuti) intrigue. L'herbe aux perruches, fleurs au parfum suave et aux fruits décoratifs, sa famille, origine, utilisation de l' herbe aux perruches. Chez mes grands parents, nous rajoutions des yeux avec un crayon et aussi quelquefois des couleurs sur la perruche ce qui. Soit en pot ou en pleine terre. Herbe aux perruches ( asclepias syriaca ) herbe à la ouate infos sur ce lien.

Hering > divers > herbe aux perruches (asclepias syriaca).

Herbe Aux Perruches Herbe — (èr b ) s. Soit en pot ou en pleine terre. Vous pouvez donner aux perruches de l'herbe en petite quantité : On les place à proximité des fontaines ou sur les bords d'un verre.

Get Herbe Aux Perruches Collections Chez mes grands parents, nous rajoutions des yeux avec un crayon et aussi quelquefois des couleurs sur la perruche ce qui nous amusait beaucoup. Plante vivace au feuillage caduc. Asclépiade cornue, asclépiade commune, asclépiade de syrie, asclépiade à ouate, herbe aux perruches. Vous pouvez donner aux perruches de l'herbe en petite quantité : Très rustique, elle peut devenir envahissante. On les place à proximité des fontaines ou sur les bords d'un verre.

Herbe Aux Perruches L'herbe aux perruches, fleurs au parfum suave et aux fruits décoratifs, sa famille, origine, utilisation de l' herbe aux perruches. Vous pouvez donner aux perruches de l'herbe en petite quantité : Hering > divers > herbe aux perruches (asclepias syriaca). L'herbe aux perruches (asclepias syriaca), aussi appelée herbe à la ouate ou asclépiade commune (moins poétique !) est considérée comme une adventice, car très envahissante, dans les pays où elle.

Best Herbe Aux Perruches Gallery L'asclépiade de syrie ou herbe à la ouate, parfois appelée herbe aux perruches, est une plante herbacée vivace de la famille des asclépiadacées. Plante ancienne remise au goût du jour, l'herbe aux perruches est une plante vivace rustique elle est aussi appelée herbe à la ouate car les graines ont une soie végétale à l'extrémité qui leur facilitent. Asclepias syriaca ''herbe aux perruches'' graines. Samedi 27 août 2016 07h00. L'herbe aux perruches (asclepias cornuti) intrigue. Asclepias syriaca (l'herbe aux perruches ou herbe à ouate) est la plus connue car ses fruits ressemblent étonnamment à des oiseaux.

Soit en pot ou en pleine terre.

Herbe Aux Perruches Hering > divers > herbe aux perruches (asclepias syriaca). Pour le jardin notify me when available. Plante vivace au feuillage caduc. Très rustique, elle peut devenir envahissante.

Download Herbe Aux Perruches Pictures L'herbe aux perruches est appelée communément herbe à ouate à cause de ses graines dotées d'une soie végétale qui facilite l'envol de ces dernières pour un ensemencement naturel. Pour le jardin notify me when available. On les place à proximité des fontaines ou sur les bords d'un verre. Par hamdibey dans lire & raconter le 25 avril 2014 à 23:12. L'asclépiade ( asclepias syriaca ), appelée communément herbe aux perruches ou herbe à la ouate est une plante vivace arbustive aux racines charnues, étalées qui peuvent en faire une plante un peu. Bourdons sur fleur d'herbe aux perruches.

Herbe Aux Perruches L'herbe aux perruches, asclépiade ou asclepias cornuti est une plante de la famille des semis des graines d'herbe aux perruches: Chez mes grands parents, nous rajoutions des yeux avec un crayon et aussi quelquefois des couleurs sur la perruche ce qui. L'asclépiade ( asclepias syriaca ), appelée communément herbe aux perruches ou herbe à la ouate est une plante vivace arbustive aux racines charnues, étalées qui peuvent en faire une plante un peu. Bourdons sur fleur d'herbe aux perruches.

Viral Herbe Aux Perruches Collections Plante vivace au feuillage caduc. Graines d'herbe aux perruches (asclepias syriaca) sachet de 40 graines. Voilà pour françoise graine de sucre j'ai trouvé sur le net. Asclépiade cornue, asclépiade commune, asclépiade de syrie, asclépiade à ouate, herbe aux perruches. Herbe — (èr b ) s. L'herbe aux perruches, fleurs au parfum suave et aux fruits décoratifs, sa famille, origine, utilisation de l' herbe aux perruches.

L'herbe aux perruches (asclepias cornuti) intrigue.

Herbe Aux Perruches Cette plante insolite et sans souci est recherch�e pour ses fruits� en forme pr�sentation l'herbe aux perruches (asclepias syriaca), aussi appel�e herbe � la ouate ou. L'herbe aux perruches est appelée communément herbe à ouate à cause de ses graines dotées d'une soie végétale qui facilite l'envol de ces dernières pour un ensemencement naturel. Il est nécessaire de laisser tremper les semences dans de l'eau tiède. Botanique l'herbe à perruches appartient à la famille des asclépiadacées, au genre asclepias et à l'espèce cornuti.

Viral Herbe Aux Perruches Gallery Très rustique, elle peut devenir envahissante. Chez mes grands parents, nous rajoutions des yeux avec un crayon et aussi quelquefois des couleurs sur la perruche ce qui nous amusait beaucoup. L'herbe aux perruches (asclepias cornuti) intrigue. L'herbe aux perruches (asclepias cornuti) intrigue. L'asclépiade ( asclepias syriaca ), appelée communément herbe aux perruches ou herbe à la ouate est une plante vivace arbustive aux racines charnues, étalées qui peuvent en faire une plante un peu. Dans un mélange de terre et compost.

Herbe Aux Perruches Asclepias syriaca ''herbe aux perruches'' graines. L'herbe aux perruches, asclépiade ou asclepias cornuti est une plante de la famille des semis des graines d'herbe aux perruches: Botanique l'herbe à perruches appartient à la famille des asclépiadacées, au genre asclepias et à l'espèce cornuti. » asclepias syriaca herbe a perruches » herbe aux perruches, herbe à la ouate (semis) » 2 l'herbe aux perruches (asclepias cornuti) intrigue.

Best Herbe Aux Perruches Pics Voilà pour françoise graine de sucre j'ai trouvé sur le net. Chez mes grands parents, nous rajoutions des yeux avec un crayon et aussi quelquefois des couleurs sur la perruche ce qui. Chez mes grands parents, nous rajoutions des yeux avec un crayon et aussi quelquefois des couleurs sur la perruche ce qui nous amusait beaucoup. Dans un mélange de terre et compost. C'est le moment de récolter mes. Par hamdibey dans lire & raconter le 25 avril 2014 à 23:12.

Chez mes grands parents, nous rajoutions des yeux avec un crayon et aussi quelquefois des couleurs sur la perruche ce qui.

Herbe Aux Perruches L'asclépiade, herbe aux perruches ou encore herbe à ouate est une plante vivace herbacée et attention, l'herbe aux perruches développe de longs rhizomes, elle peut devenir envahissante au. L'herbe aux perruches (asclepias cornuti) intrigue. Samedi 27 août 2016 07h00. 1° toute plante qui, n étant point arbre, arbrisseau ou arbuste, est privée de bourgeons, soit qu elle ne vive qu un an, ou moins, soit que ses racines vivaces émettent chaque.

Update Herbe Aux Perruches Pictures Herbe aux perruches ( asclepias syriaca ) herbe à la ouate infos sur ce lien. Herbe aux perruches (asclepias syriaca). L'herbe aux perruches est appelée communément herbe à ouate à cause de ses graines dotées d'une soie végétale qui facilite l'envol de ces dernières pour un ensemencement naturel. Botanique l'herbe à perruches appartient à la famille des asclépiadacées, au genre asclepias et à l'espèce cornuti. Asclepias syriaca ''herbe aux perruches'' graines. On les place à proximité des fontaines ou sur les bords d'un verre.

Herbe Aux Perruches Plante ancienne remise au goût du jour, l'herbe aux perruches est une plante vivace rustique elle est aussi appelée herbe à la ouate car les graines ont une soie végétale à l'extrémité qui leur facilitent. Asclepias syriaca ''herbe aux perruches'' graines. L'asclépiade de syrie ou herbe à la ouate, parfois appelée herbe aux perruches, est une plante herbacée vivace de la famille des asclépiadacées. Voilà pour françoise graine de sucre j'ai trouvé sur le net.

Trending Herbe Aux Perruches Pics Très rustique, elle peut devenir envahissante. En fleurs au printemps, l'asclépias se pare de fruits en forme de perruche qui s'ouvrent au niveau de l'arrête. Dans un mélange de terre et compost. Plante vivace au feuillage caduc. » asclepias syriaca herbe a perruches » herbe aux perruches, herbe à la ouate (semis) » 2 l'herbe aux perruches (asclepias cornuti) intrigue. L'asclépiade ( asclepias syriaca ), appelée communément herbe aux perruches ou herbe à la ouate est une plante vivace arbustive aux racines charnues, étalées qui peuvent en faire une plante un peu.

Vous pouvez donner aux perruches de l'herbe en petite quantité :

Herbe Aux Perruches L'herbe aux perruches est appelée communément herbe à ouate à cause de ses graines dotées d'une soie végétale qui facilite l'envol de ces dernières pour un ensemencement naturel. Asclépiade cornue, asclépiade commune, asclépiade de syrie, asclépiade à ouate, herbe aux perruches. Samedi 27 août 2016 07h00. Botanique l'herbe à perruches appartient à la famille des asclépiadacées, au genre asclepias et à l'espèce cornuti.

Top Herbe Aux Perruches Images Pour le jardin notify me when available. Plante ancienne remise au goût du jour, l'herbe aux perruches est une plante vivace rustique elle est aussi appelée herbe à la ouate car les graines ont une soie végétale à l'extrémité qui leur facilitent. Très rustique, elle peut devenir envahissante. L'asclépiade, herbe aux perruches ou encore herbe à ouate est une plante vivace herbacée et attention, l'herbe aux perruches développe de longs rhizomes, elle peut devenir envahissante au. Herbe aux perruches ( asclepias syriaca ) herbe à la ouate infos sur ce lien. Cette plante insolite et sans souci est recherch�e pour ses fruits� en forme pr�sentation l'herbe aux perruches (asclepias syriaca), aussi appel�e herbe � la ouate ou.

Herbe Aux Perruches Asclépiade cornue, asclépiade commune, asclépiade de syrie, asclépiade à ouate, herbe aux perruches. Soit en pot ou en pleine terre. Herbe aux perruches ( asclepias syriaca ) herbe à la ouate infos sur ce lien. C'est le moment de récolter mes.

Best Herbe Aux Perruches Images Samedi 27 août 2016 07h00. Plante ancienne remise au goût du jour, l'herbe aux perruches est une plante vivace rustique elle est aussi appelée herbe à la ouate car les graines ont une soie végétale à l'extrémité qui leur facilitent. Chez mes grands parents, nous rajoutions des yeux avec un crayon et aussi quelquefois des couleurs sur la perruche ce qui. Les fruits des arbres et des arbustes contribuent. L'herbe aux perruches (asclepias cornuti) intrigue. L'herbe aux perruches (asclepias cornuti) intrigue.

Herbe Aux Perruches L'asclépiade de syrie ou herbe à la ouate, parfois appelée herbe aux perruches, est une plante herbacée vivace de la famille des asclépiadacées. Samedi 27 août 2016 07h00. Soit en pot ou en pleine terre. » asclepias syriaca herbe a perruches » herbe aux perruches, herbe à la ouate (semis) » 2 l'herbe aux perruches (asclepias cornuti) intrigue.

Viral Herbe Aux Perruches Images L'asclépiade de syrie ou herbe à la ouate, parfois appelée herbe aux perruches, est une plante herbacée vivace de la famille des asclépiadacées. Très rustique, elle peut devenir envahissante. Plante ancienne remise au goût du jour, l'herbe aux perruches est une plante vivace rustique elle est aussi appelée herbe à la ouate car les graines ont une soie végétale à l'extrémité qui leur facilitent. Dans un mélange de terre et compost. Herbe — (èr b ) s. L'asclépiade ( asclepias syriaca ), appelée communément herbe aux perruches ou herbe à la ouate est une plante vivace arbustive aux racines charnues, étalées qui peuvent en faire une plante un peu.

» asclepias syriaca herbe a perruches » herbe aux perruches, herbe à la ouate (semis) » 2 l'herbe aux perruches (asclepias cornuti) intrigue.

Herbe Aux Perruches Cette plante insolite et sans souci est recherch�e pour ses fruits� en forme pr�sentation l'herbe aux perruches (asclepias syriaca), aussi appel�e herbe � la ouate ou. Plante ancienne remise au goût du jour, l'herbe aux perruches est une plante vivace rustique elle est aussi appelée herbe à la ouate car les graines ont une soie végétale à l'extrémité qui leur facilitent. Il est nécessaire de laisser tremper les semences dans de l'eau tiède. On les place à proximité des fontaines ou sur les bords d'un verre. Botanique l'herbe à perruches appartient à la famille des asclépiadacées, au genre asclepias et à l'espèce cornuti. Bourdons sur fleur d'herbe aux perruches.